_Chevrolat_BMNH_JAC_=_Heterops_dimidiatus.jpg)
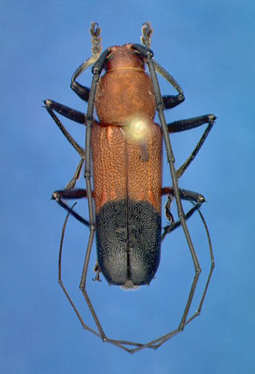
Eburia dimidiata Chevrolat Specimen Type: syntype Sex: m Institution: BMNH British Museum Natural History, London, UK Photographer: John Chemsak Collection Location: vic Cienfuegos, Cuba 16171
|

Institution: IRSNB Royal Belgian Institute of Natural Sciences, Brussels, Belgium Photographer: Noel Mal Collection Location: Guantanamo, Cuba 39338
|
_FSCA.jpg)
Institution: FSCA Florida State Collection of Arthropods, Gainesville, FL, USA Photographer: Mike Thomas 1310
|
_Det_Morris_Upper_Key_Largo_Monroe_Co._Florida_UCB_100229.jpg)
Institution: UCB Essig Museum of Entomology, Berkeley, California, USA Photographer: Larry G. Bezark Determiner: Roy Morris Collection Location: Upper Key Largo, Monroe County, Florida 1311
|
_CAS.jpg)
Institution: CAS California Academy of Sciences, San Francisco, CA, USA Photographer: Larry G. Bezark 8391
|
|