_Perty_ZSM_Serra_do_Caraca_Minas_Gerais_SWL.jpg)
Eryphus bipunctatus Perty Specimen Type: holotype Sex: f Institution: ZSM Zoologische Staatssammlung, München, Germany Photographer: Steve Lingafelter Collection Location: Serra do Caraca, Minas Gerais, Brazil 29757
|
 Melz MZSP Mar de Espanha, Minas Gerais, Brazil now Solangebira.jpg)
Callideriphus atricollis Melzer Specimen Type: lectotype Sex: f Institution: MZSP Museu de Zoologia da Universidade de São Paulo, Brazil Photographer: Antonio Santos-Silva Collection Location: Mar de Espanha, Minas Gerais, Brazil 5216
|

Eryphus rubricollis Klug Specimen Type: lectotype Sex: f Institution: BMNH British Museum Natural History, London, UK Photographer: Michael Geiser Determiner: sensu Dejean Collection Location: Brazil 81678
|
_CAS.jpg)
Institution: CAS California Academy of Sciences, San Francisco, CA, USA Photographer: Larry G. Bezark 7462
|
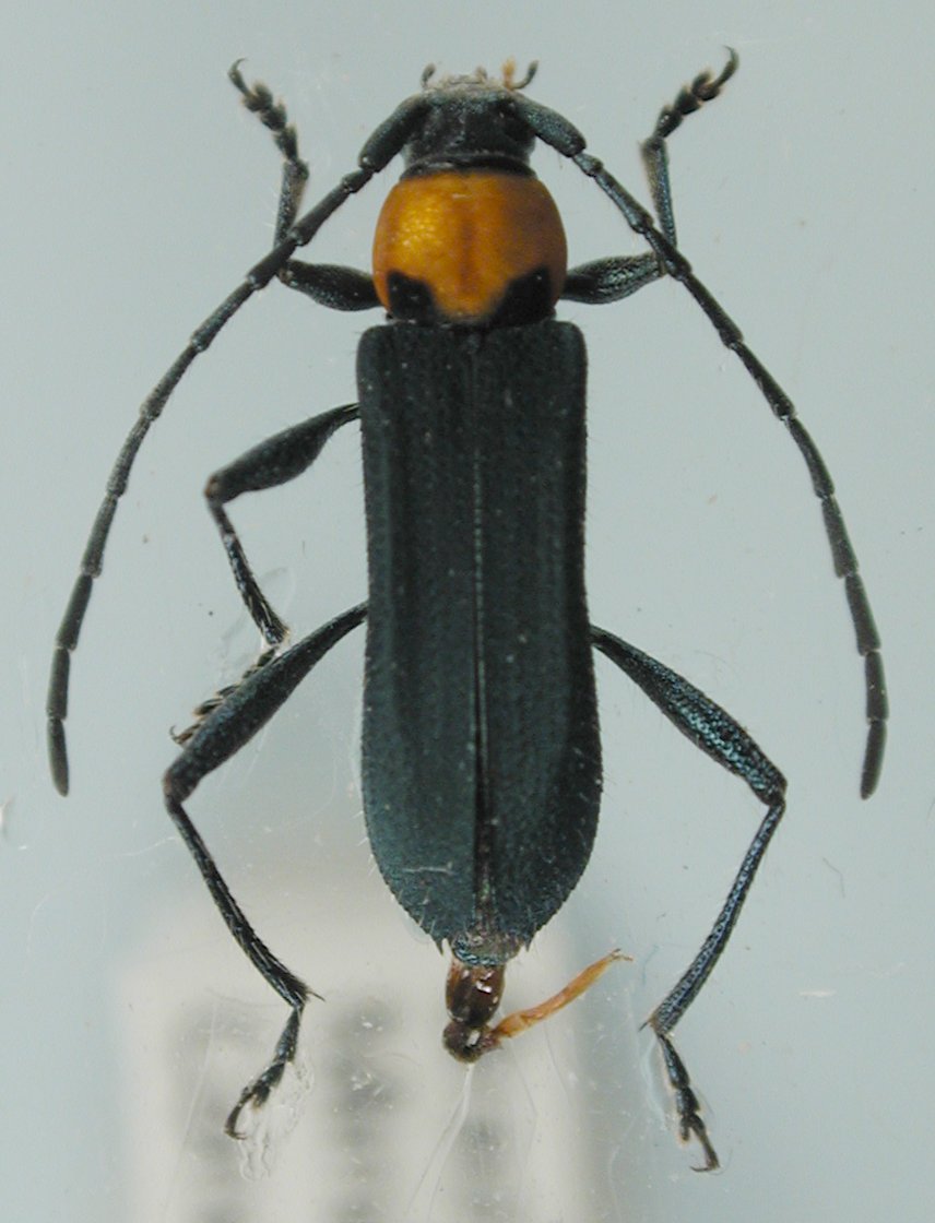
 (Perty) MZSP São Paulo, São Paulo, Brazil SS.jpg)
Sex: m Institution: MZSP Museu de Zoologia da Universidade de São Paulo, Brazil Photographer: Antonio Santos-Silva Collection Location: São Paulo, São Paulo, Brazil 81682
|
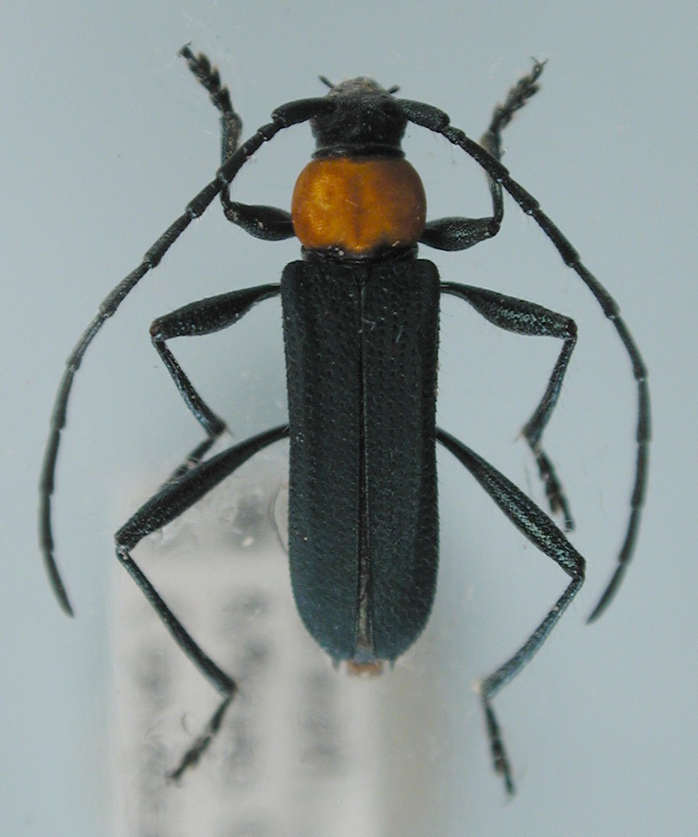
 (Perty) MZSP São Paulo, São Paulo, Brazil SS.jpg)
Sex: m Institution: MZSP Museu de Zoologia da Universidade de São Paulo, Brazil Photographer: Antonio Santos-Silva Collection Location: São Paulo, São Paulo, Brazil 81683
|
_Det_Monne_Brazil_UCB.jpg)
Institution: UCB Essig Museum of Entomology, Berkeley, California, USA Photographer: Larry G. Bezark Determiner: Monne Collection Location: Brazil 7463
|
_Rio_Brazil_UCB_as_Callideriphus_atricollis.jpg)
Institution: UCB Essig Museum of Entomology, Berkeley, California, USA Photographer: Larry G. Bezark Collection Location: Rio, Brazil as Callideriphus atricollis 7464
|
 Conceicao, Minas Gerais, Brazil LGBC.jpg)
Institution: LGBC Larry G. Bezark Collection, Sacramento, California, USA Photographer: Larry G. Bezark Collection Location: Conceicao, Minas Gerais, Brazil 95777
|
 Conceicao, Minas Gerais, Brazil LGBC.jpg)
Institution: LGBC Larry G. Bezark Collection, Sacramento, California, USA Photographer: Larry G. Bezark Collection Location: Conceicao, Minas Gerais, Brazil 95778
|
_(Perty)_Parana_Brazil.jpg)
Sex: m Determiner: Rev. Bras. Ent. Collection Location: Parana, Brazil 7461
|
_Paraguay_Dep_Alto_Parana_Mehl.jpg)
Photographer: Ole Mehl Collection Location: Department Alto Parana, Paraguay 36762
|
|