_Melzer_MZSP_SWL.jpg)
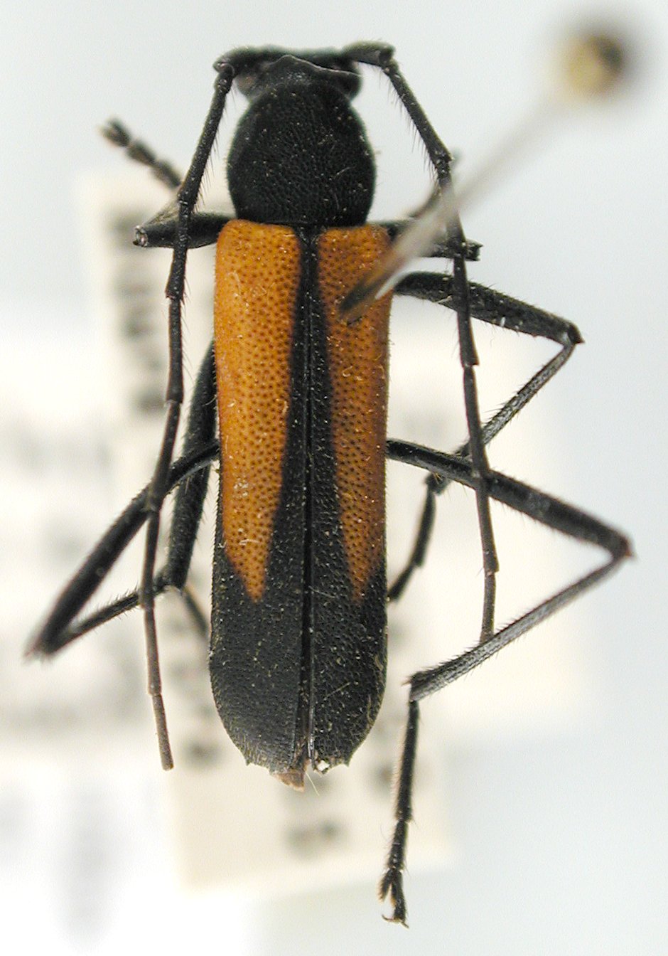
Specimen Type: syntype Institution: MZSP Museu de Zoologia da Universidade de São Paulo, Brazil Photographer: Steve Lingafelter Collection Location: São Sebastião; Bosque da Saúde, Sao Paolo, Brazil 7407
|

Institution: CAS California Academy of Sciences, San Francisco, CA, USA Photographer: Larry G. Bezark 7408
|
_Napp_and_Monne_Brazil_Iheringia.jpg)
Collection Location: Brazil 21316
|

Institution: JCPC Jim Cope Collection, San Jose, California, USA now at CSCA, Sacramento Photographer: Larry G. Bezark Determiner: Dilma Napp Collection Location: Corcovado, Rio de Janeiro, Brazil 98609
|
|