New Search Family, Subfamily and Tribe List

SubFamily Cerambycinae

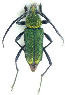
Tribe Dichophyiini
Chrysoprasis rotundicollis Bates 1870

Specimen Type: holotype
Sex: f
Institution: MNHN Museum of Natural History Paris, France
Photographer: Gerard Tavakilian
Collection Location: Rio Tapajos, Para, Brazil
15593


Photographer: Denis Faure
Collection Location: French Guiana
28638


Photographer: Jean-Louis Giuglaris
Collection Location: Kaw, French Guiana
28639


Determiner: Rev. Bras. Ent.
5681

130425