_Mart_Napp_CNC_SanCristobal_de_lasCasas_Chiapas_Mex_Lap.jpg)
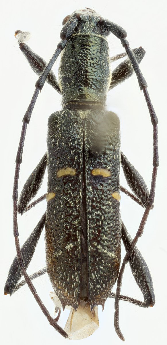
Specimen Type: holotype Sex: f Institution: CNC Canadian National Collection of Insects, Ottawa, Ontario, Canada Photographer: Serge Laplante, photograph and data Determiner: Copyright of
Agriculture & Agri Food Canada Collection Location: San Cristobal de las Casas, Chiapas, Mexico 62927
|
_Mart_Napp_CNC_SanCristobal_de_lasCasas_Chiapas_Mex_Lap.jpg)
Specimen Type: holotype Sex: f Institution: CNC Canadian National Collection of Insects, Ottawa, Ontario, Canada Photographer: Serge Laplante, photograph and data Determiner: Copyright of
Agriculture & Agri Food Canada Collection Location: San Cristobal de las Casas, Chiapas, Mexico 62928
|
_Mart_Napp_CNC_SanCristobal_de_lasCasas_Chiapas_Mex_Lap.jpg)
Specimen Type: holotype Sex: f Institution: CNC Canadian National Collection of Insects, Ottawa, Ontario, Canada Photographer: Serge Laplante, photograph and data Determiner: Copyright of
Agriculture & Agri Food Canada Collection Location: San Cristobal de las Casas, Chiapas, Mexico 62929
|
_Noguera_and_Chemsak_San_Cristobal_Chiapas_Mexico_UCB.jpg)
Championa bifasciata Noguera & Chemsak Specimen Type: holotype Sex: f Institution: UCB Essig Museum of Entomology, Berkeley, California, USA Collection Location: San Cristobal, Chiapas, Mexico 15537
|
|