New Search Family, Subfamily and Tribe List

SubFamily Cerambycinae

Tribe Rhopalophorini
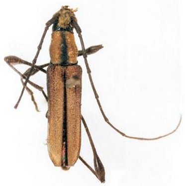
Rhopalophora venezuelensis Chevrolat 1859

Specimen Type: syntype
Sex: f
Institution: MNHN Museum of Natural History Paris, France
Collection Location: Caracas, Venezuela
27963


27964

130425