_M_and_G_CASC_vic_La_Pila_Manabi_Ec_FTH_LGB.jpg)
Trichohippopsis barbatulus Martins & Galileo Specimen Type: holotype Sex: m Institution: CAS California Academy of Sciences, San Francisco, CA, USA Photographer: Larry G. Bezark Collection Location: vicinity of La Pila, Manabi, Ecuador 39741
|
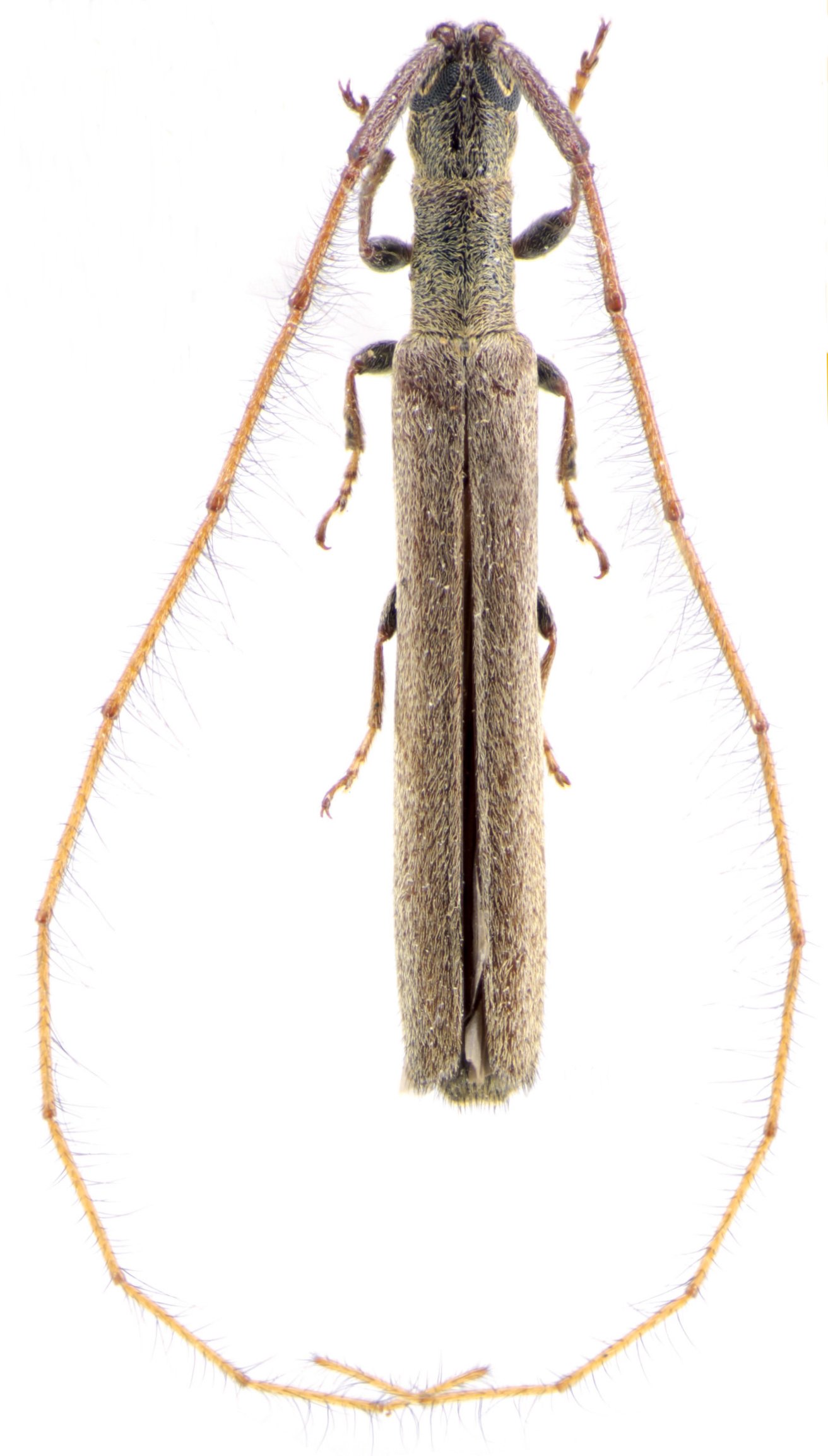
_M_and_G_CASC_vic_La_Pila_Manabi_Ec_FTH.jpg)
Trichohippopsis barbatulus Martins & Galileo Specimen Type: holotype Sex: m Institution: CAS California Academy of Sciences, San Francisco, CA, USA Collection Location: vicinity of La Pila, Manabi, Ecuador 39740
|