_M_and_G_CASC_Napo_Galera_Rd_Napo_Ec_FTH_LGB.jpg)
Specimen Type: holotype Sex: m Institution: CAS California Academy of Sciences, San Francisco, CA, USA Photographer: Larry G. Bezark Collection Location: Napo Galera Road, Napo, Ecuador 39648
|
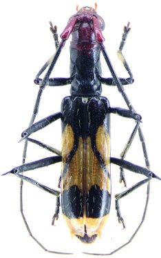
_M_and_G_CASC_Napo_Galera_Rd_Napo_Ec_FTH.jpg)
Specimen Type: holotype Sex: m Institution: CAS California Academy of Sciences, San Francisco, CA, USA Collection Location: Napo Galera Road, Napo, Ecuador 39649
|