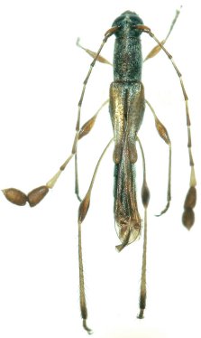
_Clarke_MNKM_5kmSSE_Buena_Vista_FF.jpg)
Specimen Type: holotype Sex: m Institution: MNKM Museo de Hist Nat Noel Kempff Mercado Santa Cruz de la Sierra, Bolivia Collection Location: 5 km SSE Buena Vista, Santa Cruz, Bolivia 39604
|
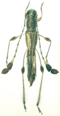
_Clarke_MNKM_5kmSSE_Buena_Vista_FF.jpg)
Specimen Type: paratype Sex: f Institution: MNKM Museo de Hist Nat Noel Kempff Mercado Santa Cruz de la Sierra, Bolivia Collection Location: 5 km SSE Buena Vista, Santa Cruz, Bolivia 39605
|