_Ohbayashi_and_Chou_Meiying.jpg)
Specimen Type: holotype Sex: m Institution: NMST National Science Museum (Nat. Hist.), Tokyo, Japan Photographer: Meiying Lin Collection Location: Nanhu Cirque, Heping, Taichung City, Taiwan 42871
|
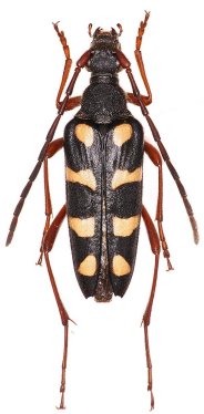
_Meiying_pic.jpg)
Specimen Type: paratype Sex: f Photographer: Meiying Lin 42872
|