_Ohbayashi_Lin_IZAS_Xizang_Medog_China.jpg)
Specimen Type: holotype Sex: m Institution: IZAS Zoological Institute, Chinese Academy of Sciences, Beijing, China Photographer: Meiying Lin Determiner: In memory of Mr. Wenhsin Lin. Formosa Collection Location: Medog, Zizang, China 42834
|
_Ohbayashi_Lin_IZAS_Xizang_Medog_China.jpg)
Specimen Type: holotype Sex: m Institution: IZAS Zoological Institute, Chinese Academy of Sciences, Beijing, China Photographer: Meiying Lin Determiner: In memory of Mr. Wenhsin Lin. Formosa Collection Location: Medog, Zizang, China 51323
|
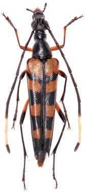
_Ohbayashi_Lin_Xizang_Medog_China.jpg)
Specimen Type: paratype Sex: f Photographer: Meiying Lin Determiner: In memory of Mr. Wenhsin Lin. Formosa Collection Location: Medog, Zizang, China 51324
|
_Ohbayashi_Lin_Xizang_Medog_China.jpg)
Specimen Type: paratype Sex: f Photographer: Meiying Lin Determiner: In memory of Mr. Wenhsin Lin. Formosa Collection Location: Medog, Zizang, China 51325
|
|