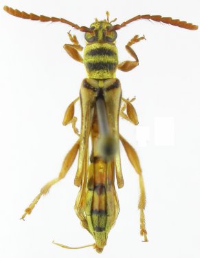
_Bez_and_Mart_and_SS_CAS_3kmSE_Rio_Naranjo_GU_CR.jpg)
Specimen Type: holotype Sex: m Institution: CAS California Academy of Sciences, San Francisco, CA, USA Photographer: Antonio Santos-Silva Collection Location: 3 mi SE Rio Naranjo, Guanacaste, Costa Rica 39589
|
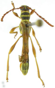
_LGBC_3kmSE_Rio_Naranjo_GU_CR.jpg)
Specimen Type: paratype Sex: f Institution: LGBC Larry G. Bezark Collection, Sacramento, California, USA Photographer: Antonio Santos-Silva Collection Location: 3 mi SE Rio Naranjo, Guanacaste, Costa Rica 39590
|