New Search Family, Subfamily and Tribe List

SubFamily Cerambycinae

Tribe Callichromatini
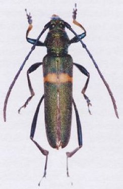
Brevechelidonium siamensis Vives, Bentanachs & Chew 2009

Specimen Type: holotype
Sex: m
Institution: Vives Collection
Determiner: Les Cahiers Magellanes
Collection Location: Chiang Mai, Thailand
45935

130425