_G_M_CAS_Alinahui_Napo_Ec_FTH.jpg)
Specimen Type: holotype Institution: CAS California Academy of Sciences, San Francisco, CA, USA Photographer: Larry G. Bezark Collection Location: Alinahui, Napo, Ecuador 45784
|
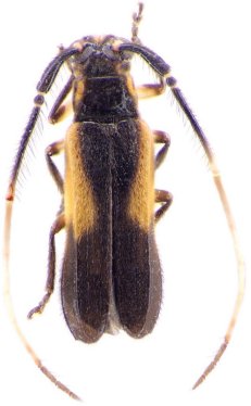
_G_and_M_CAS_Alinahui_Napo_EC.jpg)
Specimen Type: holotype Sex: m Institution: CAS California Academy of Sciences, San Francisco, CA, USA Collection Location: Alinahui, Napo, Ecuador 39233
|