_G_M_CAS_Napo_Galera_Road_Napo_Ec_FTH.jpg)
Piampatara antennata Galileo & Martins Specimen Type: holotype Sex: m Institution: CAS California Academy of Sciences, San Francisco, CA, USA Photographer: Larry G. Bezark Collection Location: km 1, Napo-Galeras Road, Napo, Ecuador 45776
|
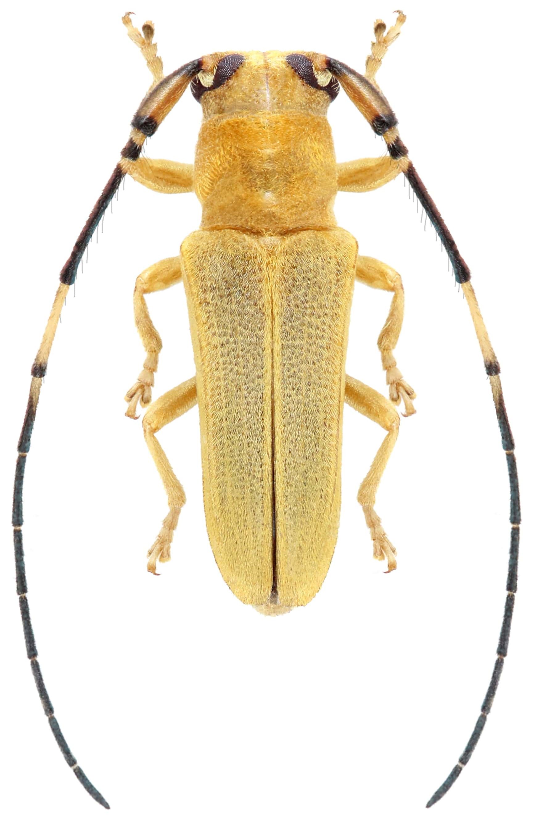
_G_and_M_CAS_km1_Napo-Galeras_Road_Napo_EC.jpg)
Piampatara antennata Galileo & Martins Specimen Type: holotype Sex: m Institution: CAS California Academy of Sciences, San Francisco, CA, USA Collection Location: km 1, Napo-Galeras Road, Napo, Ecuador 39231
|