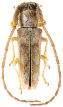
_G_M_CAS_vic_La_Pila_Manabi_Ecuador.jpg)
Specimen Type: holotype Sex: m Institution: CAS California Academy of Sciences, San Francisco, CA, USA Photographer: Larry G. Bezark Collection Location: vicinity of La Pila, Manabi, Ecuador 45722
|
_G_and_M_CAS_vic_La_Pila_Manabi_EC.jpg)
Specimen Type: holotype Sex: m Institution: CAS California Academy of Sciences, San Francisco, CA, USA Collection Location: vicinity of La Pila, Manabi, Ecuador 39225
|