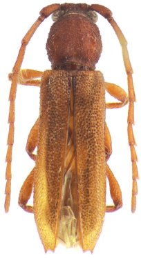
_G_and_Mart_JW.jpg)
Specimen Type: holotype Sex: m Institution: MNKM Museo de Hist Nat Noel Kempff Mercado Santa Cruz de la Sierra, Bolivia Photographer: Jim Wappes Collection Location: 3.7km SSE Hotel Flora & Fauna, Buena Vista, Santa Cruz, Bolivia 42219
|
_G_and_M_MNKM_3-7kmSSE_HotelFF_Buena_Vista_SC_Bolivia_LGB.jpg)
Specimen Type: holotype Sex: m Institution: MNKM Museo de Hist Nat Noel Kempff Mercado Santa Cruz de la Sierra, Bolivia Photographer: Larry G. Bezark Collection Location: 3.7km SSE Hotel Flora & Fauna, Buena Vista, Santa Cruz, Bolivia 39256
|
_G_and_M_MNKM_3-7kmSSE_HotelFF_Buena_Vista_SC_Bolivia.jpg)
Specimen Type: holotype Sex: m Institution: MNKM Museo de Hist Nat Noel Kempff Mercado Santa Cruz de la Sierra, Bolivia Collection Location: 3.7km SSE Hotel Flora & Fauna, Buena Vista, Santa Cruz, Bolivia 39257
|
_G_and_M_MNKM_3-7kmSSE_HotelFF_Buena_Vista_SC_Bolivia.jpg)
Specimen Type: holotype Sex: m Institution: MNKM Museo de Hist Nat Noel Kempff Mercado Santa Cruz de la Sierra, Bolivia Collection Location: 3.7km SSE Hotel Flora & Fauna, Buena Vista, Santa Cruz, Bolivia 39258
|
_MS_name_MZSP_4-6km_SSE_Buena_Vista_SC_Bolivia.jpg)
Specimen Type: paratype Photographer: Larry G. Bezark Collection Location: 3.7km SSE Hotel Flora & Fauna, Buena Vista, Santa Cruz, Bolivia 39259
|
|