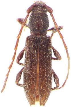
_G_and_Mart_JW.jpg)
Specimen Type: holotype Sex: m Institution: MNKM Museo de Hist Nat Noel Kempff Mercado Santa Cruz de la Sierra, Bolivia Photographer: Jim Wappes Collection Location: 40 km NW Santa Cruz, Potrerillos del Guenda, Santa Cruz, Bolivia 42215
|
_G_and_M_MNKM_40kmNW_Santa_Cruz_Potrerillos_del_Guenda_SC_Bolivia_LGB.jpg)
Specimen Type: holotype Sex: m Institution: MNKM Museo de Hist Nat Noel Kempff Mercado Santa Cruz de la Sierra, Bolivia Photographer: Larry G. Bezark Collection Location: 40 km NW Santa Cruz, Potrerillos del Guenda, Santa Cruz, Bolivia 39247
|
_G_and_M_MNKM_40kmNW_Santa_Cruz_Potrerillos_del_Guenda_SC_Bolivia.jpg)
Specimen Type: holotype Sex: m Institution: MNKM Museo de Hist Nat Noel Kempff Mercado Santa Cruz de la Sierra, Bolivia Collection Location: 40 km NW Santa Cruz, Potrerillos del Guenda, Santa Cruz, Bolivia 39248
|
_G_and_M_MNKM_40kmNW_Santa_Cruz_Potrerillos_del_Guenda_SC_Bolivia.jpg)
Specimen Type: holotype Sex: m Institution: MNKM Museo de Hist Nat Noel Kempff Mercado Santa Cruz de la Sierra, Bolivia Collection Location: 40 km NW Santa Cruz, Potrerillos del Guenda, Santa Cruz, Bolivia 39249
|

Photographer: Jim Wappes Collection Location: Bolivia 42216
|
|