_G_and_M_JW.jpg)
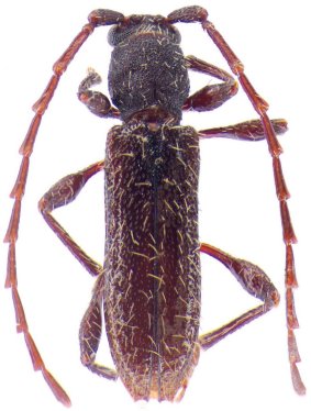
Specimen Type: holotype Sex: m Institution: MNKM Museo de Hist Nat Noel Kempff Mercado Santa Cruz de la Sierra, Bolivia Photographer: Jim Wappes Collection Location: 4 km N Bermejo, Refugia Los Volcanes, Santa Cruz, Bolivia 42214
|
_G_and_M_MNKM_4kmN_Bermejo_Refugia_Los_Volcanes_SC_Bolivia.jpg)
Specimen Type: holotype Sex: m Institution: MNKM Museo de Hist Nat Noel Kempff Mercado Santa Cruz de la Sierra, Bolivia Collection Location: 4 km N Bermejo, Refugia Los Volcanes, Santa Cruz, Bolivia 39245
|
_G_and_M_MNKM_4kmN_Bermejo_Refugia_Los_Volcanes_SC_Bolivia.jpg)
Specimen Type: holotype Sex: m Institution: MNKM Museo de Hist Nat Noel Kempff Mercado Santa Cruz de la Sierra, Bolivia Collection Location: 4 km N Bermejo, Refugia Los Volcanes, Santa Cruz, Bolivia 39246
|
|