_G_and_M_JW.jpg)
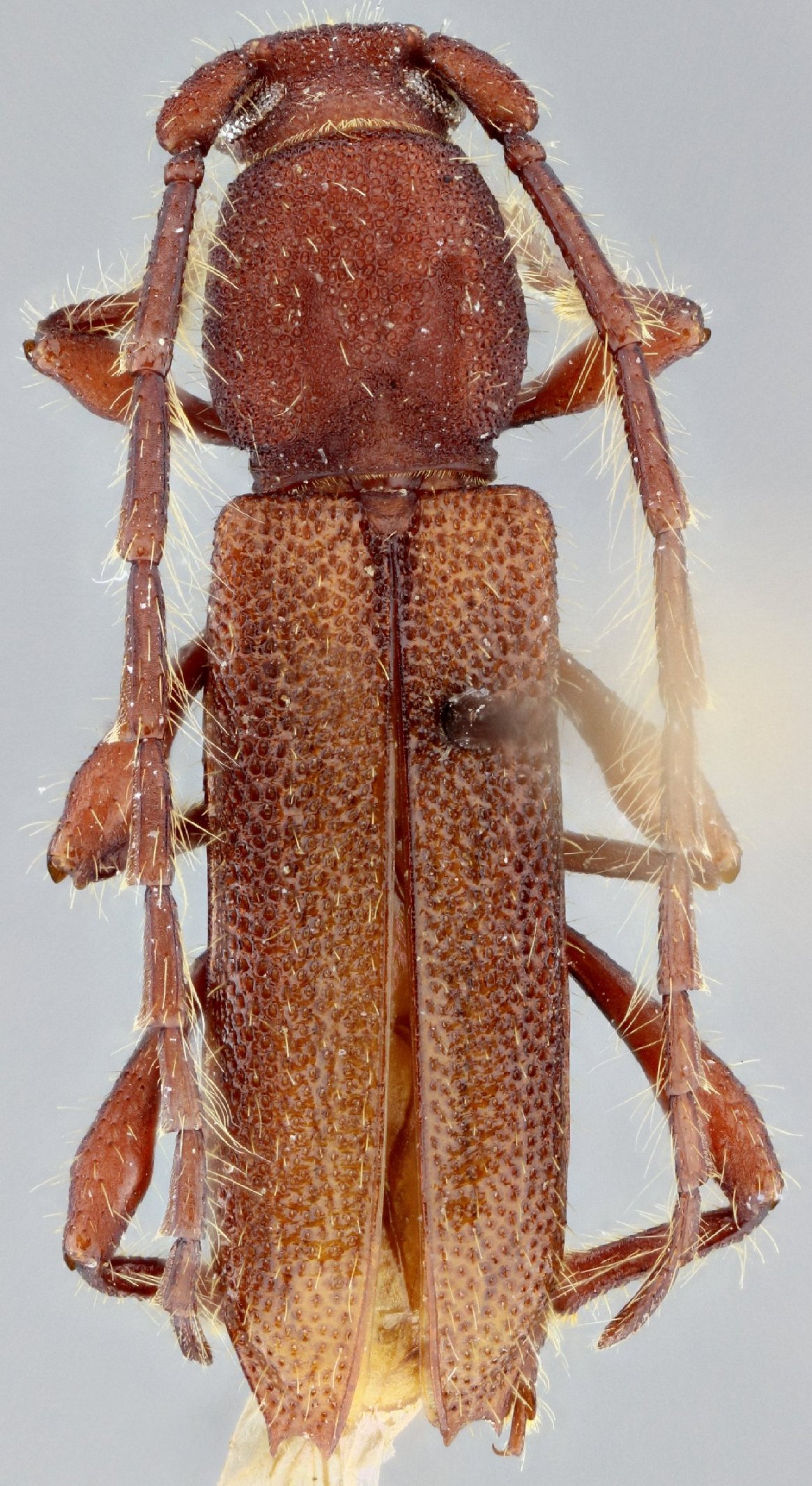
Specimen Type: holotype Sex: m Institution: MNKM Museo de Hist Nat Noel Kempff Mercado Santa Cruz de la Sierra, Bolivia Photographer: Jim Wappes Collection Location: 3.7 km SSE Hotel Flora & Fauna, Buena Vista, Santa Cruz, Bolivia 42212
|
_G_and_M_MNKM_3.7kmSSE_HotelFF_Buena_Vista_SC_Bolivia_LGB.jpg)
Specimen Type: holotype Sex: m Institution: MNKM Museo de Hist Nat Noel Kempff Mercado Santa Cruz de la Sierra, Bolivia Photographer: Larry G. Bezark Collection Location: 3.7km SSE Hotel Flora & Fauna, Buena Vista, Santa Cruz, Bolivia 39238
|
_MS_name_MZSP.jpg)
Specimen Type: holotype Sex: m Institution: MNKM Museo de Hist Nat Noel Kempff Mercado Santa Cruz de la Sierra, Bolivia Photographer: Larry G. Bezark Collection Location: 3.7km SSE Hotel Flora & Fauna, Buena Vista, Santa Cruz, Bolivia 39239
|
_G_and_M_MNKM_3.7kmSSE_HotelFF_Buena_Vista_SC_Bolivia.jpg)
Specimen Type: holotype Sex: m Institution: MNKM Museo de Hist Nat Noel Kempff Mercado Santa Cruz de la Sierra, Bolivia Collection Location: 3.7km SSE Hotel Flora & Fauna, Buena Vista, Santa Cruz, Bolivia 39240
|
_G_and_M_MNKM_3.7kmSSE_HotelFF_Buena_Vista_SC_Bolivia.jpg)
Specimen Type: holotype Sex: m Institution: MNKM Museo de Hist Nat Noel Kempff Mercado Santa Cruz de la Sierra, Bolivia Collection Location: 3.7km SSE Hotel Flora & Fauna, Buena Vista, Santa Cruz, Bolivia 39241
|
_G_M_Buena_Vista_SC_Bolivia_SS.jpg)
Specimen Type: paratype Sex: m Institution: MZSP Museu de Zoologia da Universidade de São Paulo, Brazil Photographer: Antonio Santos-Silva Collection Location: Buena Vista, Santa Cruz, Bolivia 68593
|
|