New Search Family, Subfamily and Tribe List

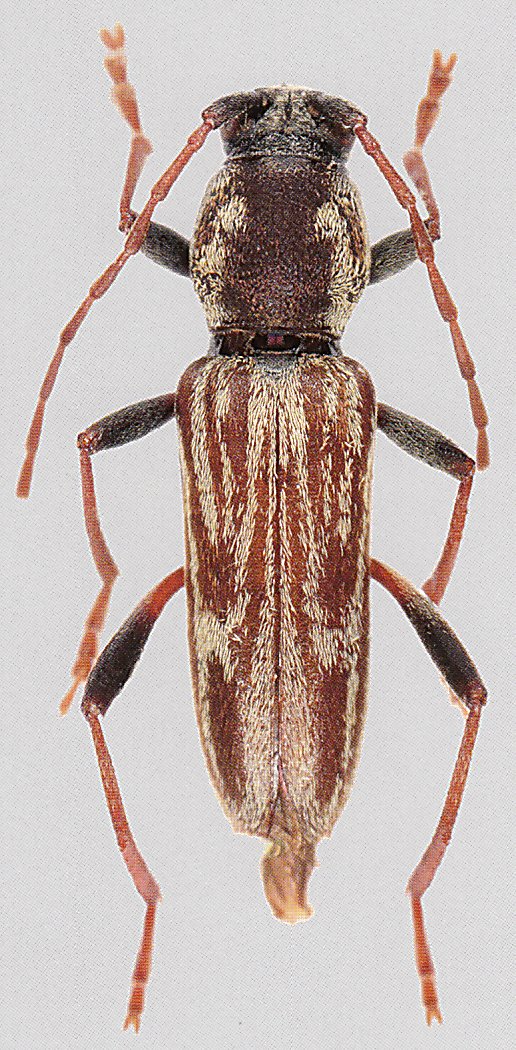
SubFamily Cerambycinae

Tribe Clytini
Chlorophorus werneri Adlbauer & Bjornstad 2012

Specimen Type: holotype
Sex: f
Institution: Bjornstad Collection
Collection Location: 60 km SSE of Bedele, Illubabor Province, Ethiopia
48911


Sex: m
Photographer: Karl Adlbauer
Collection Location: Ethiopia
19112

130425