_Adlbauer_Bjornstad_Nkubu_Meru_Kenya.jpg)
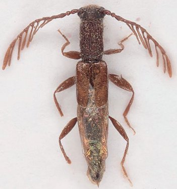
Specimen Type: paratype Sex: m Institution: Anders Collection Determiner:
Linzer biologische Beiträge Collection Location: Nkubu, Meru, Kenya 56266
|
_Adlbauer_Bjornstad_Nkubu_Meru_Kenya.jpg)
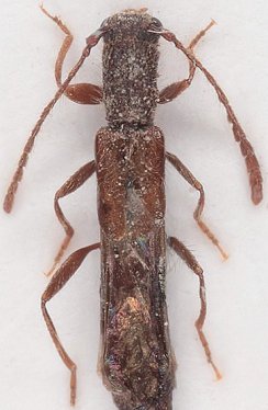
Specimen Type: paratype Sex: f Institution: Anders Collection Determiner:
Linzer biologische Beiträge Collection Location: Nkubu, Meru, Kenya 56267
|