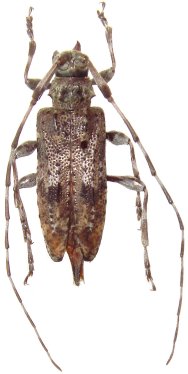
_Wallin_etal_IZAS_Yaojiaping_Lushui_Yunnan_SW.jpg)
Specimen Type: holotype Sex: m Institution: IZAS Zoological Institute, Chinese Academy of Sciences, Beijing, China Collection Location: Yaojiaping Lushui, Yunnan, China 51629
|
_multipunctellus_(p-f)_Wallin_Kvamme_and_Lin.jpg)
Specimen Type: paratype Sex: f Photographer: Meiying Lin Collection Location: Yunnan, China 42856
|