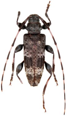
_nigropunctatus_(h-f)_Wallin_Kvamme_and_Lin.jpg)
Specimen Type: holotype Sex: f Institution: Holzschuh Collection Photographer: Meiying Lin Collection Location: Tianquan, Luding, C-Sichuan, China 42859
|
_nigropunctatus_(p-m)_Wallin_Kvamme_and_Lin.jpg)
Specimen Type: paratype Sex: m Photographer: Meiying Lin Collection Location: Tianquan, Luding, C-Sichuan, China 42860
|