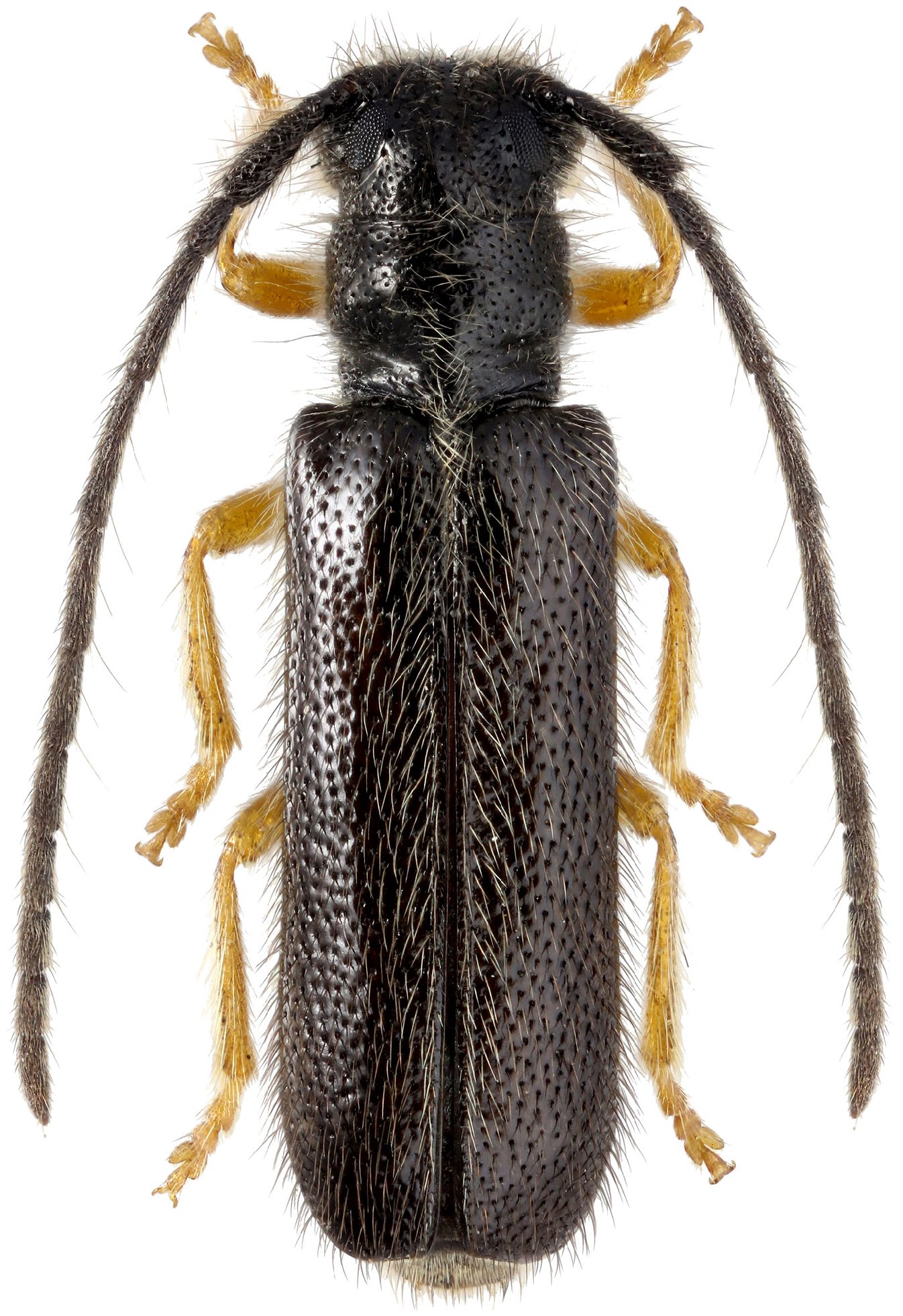
_Lazarev_ZIN_Simferopol_Crimea_Ukraine.jpg)
Specimen Type: holotype Sex: m Institution: ZIN Russian Academy of Sciences, Zoological Institute, St. Petersburg, Russia Determiner: Humanity space - International Almanac Collection Location: Simferopol, Crimea, Ukraine 49576
|
_Lazarev_Simferopol_Crimea_Ukraine.jpg)
Specimen Type: paratype Sex: f Institution: ZIN Russian Academy of Sciences, Zoological Institute, St. Petersburg, Russia Determiner: Humanity space - International Almanac Collection Location: Simferopol, Crimea, Ukraine 49577
|
_Lazarev_Yalta_Crimea_Ukraine.jpg)
Specimen Type: paratype Sex: f Institution: ZIN Russian Academy of Sciences, Zoological Institute, St. Petersburg, Russia Determiner: Humanity space - International Almanac Collection Location: Simferopol, Crimea, Ukraine 49578
|
_Lazarev_Yalta_Crimea_Ukraine.jpg)
Specimen Type: paratype Sex: m Institution: ZIN Russian Academy of Sciences, Zoological Institute, St. Petersburg, Russia Determiner: Humanity space - International Almanac Collection Location: Simferopol, Crimea, Ukraine 49579
|

Photographer: Kirill V. Makarov Collection Location: vic Alushta-Rybachye, Republic of Crimea, Ukraine 89199
|
|