_Lazarev_MD_coll_Zavist_Bohemia.jpg)
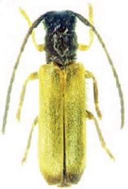
Specimen Type: holotype Sex: m Institution: Danilevsky Collection Determiner: Humanity space - International Almanac Collection Location: Zavist, Bohemia 49574
|
_Lazarev_MD_coll_Zavist_Bohemia.jpg)
Specimen Type: paratype Sex: f Institution: Danilevsky Collection Determiner: Humanity space - International Almanac Collection Location: Zavist, Bohemia 49575
|