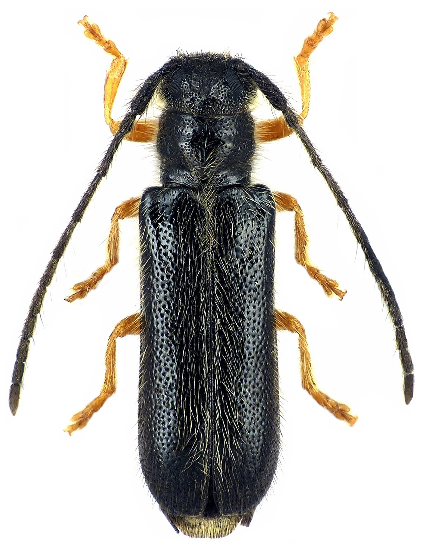
_Lazarev_coll_W-Kopetdag_Ay-Dere_Grusha_SW_Turkmenia.jpg)
Specimen Type: holotype Sex: m Institution: Lazarev Collection Determiner: Humanity space - International Almanac Collection Location: W-Kopetdag, Ay-Dere, Grusha, SW Turkmenia 49581
|
_Lazarev_W-Kopetdag_Ay-Dere_Grusha_SW_Turkmenia.jpg)
Specimen Type: paratype Sex: f Institution: Lazarev Collection Determiner: Humanity space - International Almanac Collection Location: W-Kopetdag, Ay-Dere, Grusha, SW Turkmenia 49582
|

Photographer: David Navratil Collection Location: vic Zanus, Kojur District, Mazandaran Province, N Iran 89200
|
|