_DJH.jpg)
Specimen Type: holotype Sex: f Institution: Holzschuh Collection Photographer: Lubo Dembický Collection Location: Crocker Range, Sabah, Borneo 64427
|
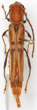
_DJH.jpg)
Specimen Type: paratype Sex: f Institution: Heffern Collection Photographer: Dan Heffern Collection Location: Crocker Range, Sabah, Borneo 64428
|