_Holzschuh_CHS_Zhongdian_Yunnan_China.jpg)
Specimen Type: holotype Sex: m Institution: Holzschuh Collection Determiner: Entomologica Basiliensa et Collectionis Frey Collection Location: Zhongdian, Yunnan, China 51314
|
_Holzschuh_CHS_Zhongdian_Yunnan_China.jpg)
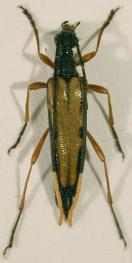
Specimen Type: paratype Sex: f Institution: Holzschuh Collection Photographer: Meiying Lin Determiner: Entomologica Basiliensa et Collectionis Frey Collection Location: Zhongdian, Yunnan, China 51315
|

Institution: LGBC Larry G. Bezark Collection, Sacramento, California, USA Photographer: Larry G. Bezark Collection Location: Zhongdian, Yunnan, China 49380
|
|