_Vives_QM_Pauls_Luck_Platypus_Cr_N_Qld_Slip_Esc.jpg)
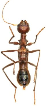
Specimen Type: holotype Sex: f Institution: QM Queensland Museum of Natural History, Brisbane, Australia Photographer: Slipinski & Escalona Collection Location: 13 km W Mossman, Platypus Creek, Paul's, Luck, N Queensland, Australia 54014
|
_Vives_QM_13kmW_Mossman_Platypus_Creek_Pauls_Luck_Aust.jpg)
Specimen Type: holotype Sex: f Institution: QM Queensland Museum of Natural History, Brisbane, Australia Determiner: Memoirs of the Queensland Museum, Nature Collection Location: 13 km W Mossman, Platypus Creek, Paul's, Luck, N Queensland, Australia 54015
|
_Vives_QM_13kmW_Mossman_Platypus_Creek_Pauls_Luck_Aust.jpg)
Specimen Type: holotype Sex: f Institution: QM Queensland Museum of Natural History, Brisbane, Australia Determiner: Memoirs of the Queensland Museum, Nature Collection Location: 13 km W Mossman, Platypus Creek, Paul's, Luck, N Queensland, Australia 54016
|
|