New Search Family, Subfamily and Tribe List

SubFamily Lepturinae

Tribe Rhamnusiini
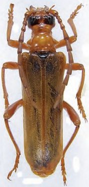
Rhamnusium bicolor constans Danilevsky 2012

Specimen Type: holotype
Sex: m
Institution: Danilevsky Collection
Collection Location: Samara city, Central Russia
59912


Specimen Type: paratype
Sex: f
Institution: Danilevsky Collection
Collection Location: Samara city, Central Russia
59913

130425