_Ozdik_Gundogan_Karatepe_Osmaniye_TR_Ent_Dept_E_Med_Forestry_Res_Inst.jpg)
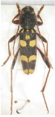
Specimen Type: holotype Sex: m Institution: East Med Forest Res Inst, Icel Turkey Collection Location: Karatepe, Gundogan, Osmaniye, Turkey 51343
|
_Ozdik_Gundogan_Karatepe_Osmaniye_TR_Ent_Dept_E_Med_Forestry_Res_Inst.jpg)
Specimen Type: allotype Sex: f Institution: East Med Forest Res Inst, Icel Turkey Collection Location: Karatepe, Gundogan, Osmaniye, Turkey 51344
|