_Chev_BMNH_Colombia_nowIschionodonta_LGB.jpg)
Rhopalophora versicolor Chevrolat Specimen Type: syntype Sex: m Institution: BMNH British Museum Natural History, London, UK Photographer: Larry G. Bezark Collection Location: Colombia 47297
|
_Chevrolat_BMNH_Tav_Columbia_=_Ischionodonta.jpg)
Rhopalophora versicolor Chevrolat Specimen Type: syntype Sex: m Institution: BMNH British Museum Natural History, London, UK Photographer: Gerard Tavakilian Collection Location: Colombia 18453
|
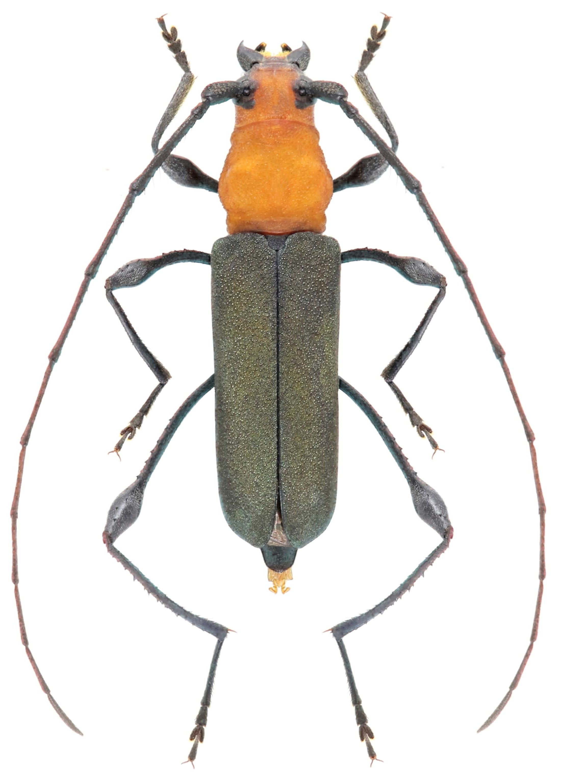
_Chevrolat_JAC.jpg)
Rhopalophora dimidiata Chevrolat Specimen Type: holotype Institution: MNHN Museum of Natural History Paris, France Photographer: John Chemsak Collection Location: Bogota, Departamento Especial, Colombia 16955
|
_Chevrolat_MNHN_FTH.jpg)
Rhopalophora dimidiata Chevrolat Specimen Type: holotype Institution: MNHN Museum of Natural History Paris, France Collection Location: Bogota, Departamento Especial, Colombia 16956
|

Photographer: Jean-Louis Giuglaris Collection Location: Belizon, French Guiana 28844
|
 Chev Piste Denis, Kourou, French Guiana Robin.jpg)
Sex: f Determiner: Frederic Robin Collection Location: Piste Denis, Kourou, French Guiana 8752
|
_BCA.jpg)
Institution: BCA Biologia Centrali Americana 8753
|
_LGB.jpg)
Photographer: Larry G. Bezark 8754
|
_(Chevrolat).jpg)
Determiner: Rev. Bras. Ent. 8755
|