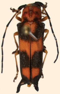
_Lingafelter_NMNH_5kmW_rd_to_El_Rio_Peravia_Prov_Dom_Rep.jpg)
Specimen Type: holotype Sex: f Institution: NMNH United States National Museum, Washington, DC, USA Photographer: Steve Lingafelter Collection Location: 5 km W rd to El Rio, Peravia Province, Dominican Republic 37475
|
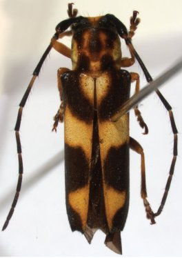
_Lingafelter_NMNH_Pico_Duarte_Trail_Los_Tablones_Dom_Rep.jpg)
Specimen Type: paratype Sex: f Institution: NMNH United States National Museum, Washington, DC, USA Photographer: Steve Lingafelter Collection Location: Pico Duarte Trail, Los Tablones, Dominican Republic 37476
|