New Search Family, Subfamily and Tribe List

SubFamily Lamiinae

Tribe Hemilophini
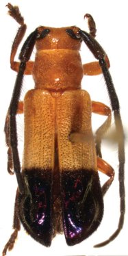
Calocosmus thonalmus Lingafelter 2013

Specimen Type: holotype
Sex: m
Institution: NMNH United States National Museum, Washington, DC, USA
Photographer: Steve Lingafelter
Collection Location: El Veron road to Hoyo Azul, La Altagracia Province Dominican Republic
37460

130425