New Search Family, Subfamily and Tribe List

SubFamily Cerambycinae

Tribe Rhopalophorini
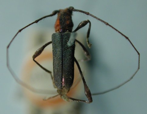
Ischionodonta pustulosa (White, 1855)

Rhopalophora pustulosa White
Specimen Type: holotype
Sex: m
Institution: BMNH British Museum Natural History, London, UK
Photographer: Larry G. Bezark
Collection Location: Venezuela
20690


Determiner: Rev. Bras. Ent.
Collection Location: Venezuela
8740


Determiner: Rev. Bras. Ent.
Collection Location: Venezuela
8741

130425