New Search Family, Subfamily and Tribe List

SubFamily Cerambycinae

Tribe Elaphidiini
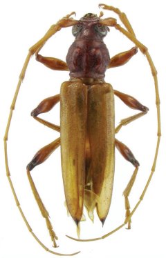
Nephalius levigatus Martins & Galileo 2012

Specimen Type: holotype
Sex: m
Institution: MZFS Universidade Estadual de Feira de Santana, Bahia State, Brazil
Collection Location: Areia Brejo, Paraibano Pau Ferro, Paraiba, Brazil
37320

130425