_MonneMonne_JW.jpg)
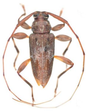
Ozineus caliginosus Monne & Monne Specimen Type: holotype Sex: m Institution: MNKM Museo de Hist Nat Noel Kempff Mercado Santa Cruz de la Sierra, Bolivia Photographer: Jim Wappes Collection Location: Flora & Fauna Hotel, Buena Vista, Santa Cruz, Bolivia 42402
|
_Monne_and_Monne_MNKM_Buena_Vista_Hotel_F_and_F.jpg)
Ozineus caliginosus Monne & Monne Specimen Type: holotype Sex: m Institution: MNKM Museo de Hist Nat Noel Kempff Mercado Santa Cruz de la Sierra, Bolivia Collection Location: Flora & Fauna Hotel, Buena Vista, Santa Cruz, Bolivia 37152
|