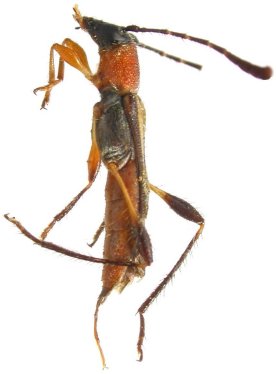
_Mart_SS_and_Clarke_MZSP_Baixo_Guandu_ES_Braz.jpg)
Specimen Type: holotype Sex: m Institution: MZSP Museu de Zoologia da Universidade de São Paulo, Brazil Photographer: Antonio Santos-Silva Collection Location: Baixo Guandu, Espirito Santo, Brazil 37111
|
_Mart_SS_and_Clarke_MZSP_Baixo_Guandu_ES_Braz.jpg)
Specimen Type: paratype Sex: f Institution: MZSP Museu de Zoologia da Universidade de São Paulo, Brazil Photographer: Antonio Santos-Silva Collection Location: Baixo Guandu, Espirito Santo, Brazil 37112
|