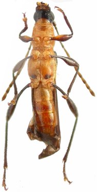
_SS_Bez_and_Mart_MZSP_Serra_do_Caraca_Catas_Atlas_MG_Brazil.jpg)
Specimen Type: holotype Sex: f Institution: MZSP Museu de Zoologia da Universidade de São Paulo, Brazil Photographer: Antonio Santos-Silva Collection Location: Serra do Caraca, Catas Atlas, Minas Gerais, Brazil 37180
|
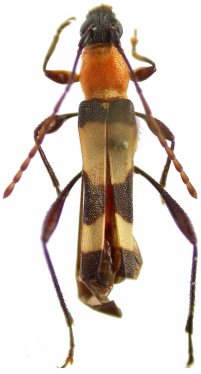
_SS_Bez_and_Mart_MZSP_Serra_do_Caraca_Catas_Atlas_MG_Brazil.jpg)
Specimen Type: holotype Sex: f Institution: MZSP Museu de Zoologia da Universidade de São Paulo, Brazil Photographer: Antonio Santos-Silva Collection Location: Serra do Caraca, Catas Atlas, Minas Gerais, Brazil 37181
|
_SS_Bez_and_Mart_MZSP_Serra_do_Caraca_Catas_Atlas_MG_Brazil.jpg)
Specimen Type: holotype Sex: f Institution: MZSP Museu de Zoologia da Universidade de São Paulo, Brazil Photographer: Antonio Santos-Silva Collection Location: Serra do Caraca, Catas Atlas, Minas Gerais, Brazil 37182
|
|