New Search Family, Subfamily and Tribe List

SubFamily Lamiinae

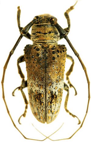
Tribe Onciderini Onciderina
Oncideres nearnsi Audureau 2012

Specimen Type: holotype
Sex: m
Institution: Audureau Collection
Collection Location: Tingo Maria, Huanuco, Peru
36861

130425