_Audureau_coll_Rio_Tambo_Satipo_Junin_Peru.jpg)
Specimen Type: holotype Sex: m Institution: Audureau Collection Photographer: Alain Audureau Collection Location: Rio Tambo, Satipo, Junin, Peru 36796
|
 Aud Rio Tambo, Satipo, Junin, Peru JCPC LGB.jpg)
Specimen Type: paratype Institution: JCPC Jim Cope Collection, San Jose, California, USA now at CSCA, Sacramento Photographer: Larry G. Bezark Determiner: Jim Cope Collection Location: Rio Tambo, Satipo, Junin, Peru 97161
|
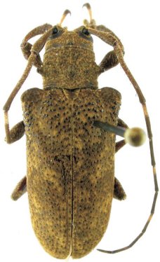
_Mart_and_Galil_ACMT_Pampa_Hermosa_Lodge_nr_San_Ramon_Junin_Peru.jpg)
Ubytyra tuberosa Martins & Galileo Specimen Type: holotype Sex: f Institution: ACMT American Coleoptera Collection, Texas (now at FSCA) Collection Location: Pampa Hermosa Lodge near San Ramon, Junin Peru 37486
|
_M_G_ACMT_now_Hesychotypa_morvanae_GN.jpg)
Ubytyra tuberosa Martins & Galileo Specimen Type: holotype Sex: f Institution: ACMT American Coleoptera Collection, Texas (now at FSCA) Photographer: Gino Nearns Collection Location: Pampa Hermosa Lodge near San Ramon, Junin, Peru 50040
|
|