_Monne_and_Monne.jpg)
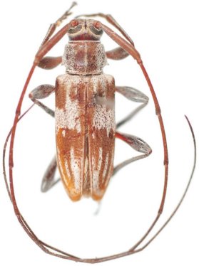
Trichonyssodrys nessimiani Monne & Monne Specimen Type: paratype Sex: m Institution: MNRJ Museu Nacional Universidade do Rio Janeiro, Brazil Collection Location: Santa Mariana, Parana, Brazil 36563
|
_Monne_and_Monne.jpg)
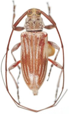
Trichonyssodrys nessimiani Monne & Monne Specimen Type: paratype Sex: f Institution: MNRJ Museu Nacional Universidade do Rio Janeiro, Brazil Collection Location: Santa Mariana, Parana, Brazil 36564
|