_Tour_and_Dalens_and_Tav_MNHN_route_de_Kaw_pk40_Fr_Guiana.jpg)
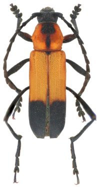
Specimen Type: holotype Sex: m Institution: MNHN Museum of Natural History Paris, France Photographer: Julien Touroult Collection Location: Cayenne, French Guiana 36734
|
_Tour_and_Dalens_and_Tav_MNHN_Cayenne_Fr_Guiana.jpg)
Specimen Type: allotype Sex: f Institution: MNHN Museum of Natural History Paris, France Photographer: Julien Touroult Collection Location: Cayenne, French Guiana 36735
|