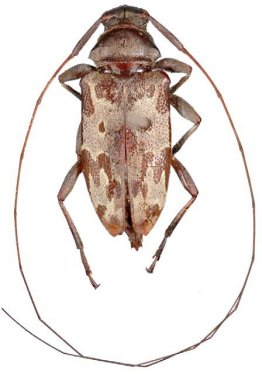
_Botero_and_Monne_MNRJ_Conceicao_da_Barra_ES_BR.jpg)
Specimen Type: holotype Sex: m Institution: MNRJ Museu Nacional Universidade do Rio Janeiro, Brazil Collection Location: Conceicao da Barra, Espirito Santo, Brazil 36273
|
_Botero_and_Monne_MNRJ_Conceicao_da_Barra_ES_BR.jpg)
Specimen Type: holotype Sex: m Institution: MNRJ Museu Nacional Universidade do Rio Janeiro, Brazil Collection Location: Conceicao da Barra, Espirito Santo, Brazil 36274
|
_Botero_and_Monne_MNRJ_Conceicao_da_Barra_ES_BR.jpg)
Specimen Type: holotype Sex: m Institution: MNRJ Museu Nacional Universidade do Rio Janeiro, Brazil Collection Location: Conceicao da Barra, Espirito Santo, Brazil 36275
|
_Botero_and_Monne_MNRJ_Conceicao_da_Barra_ES_BR.jpg)
Specimen Type: paratype Sex: f Institution: MNRJ Museu Nacional Universidade do Rio Janeiro, Brazil Collection Location: Conceicao da Barra, Espirito Santo, Brazil 36276
|
|