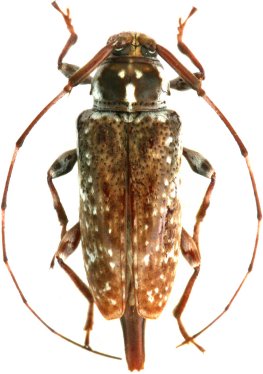
_Monne_and_Monne_MNHN_Piste_de_Kaw_Fr_Guiana_LGB.jpg)
Specimen Type: holotype Sex: m Institution: MNHN Museum of Natural History Paris, France Photographer: Larry G. Bezark Collection Location: Piste de Kaw, French Guiana 36264
|
_Monne_and_Monne_MNHN_Piste_de_Kaw_Fr_Guiana.jpg)
Specimen Type: holotype Sex: m Institution: MNHN Museum of Natural History Paris, France Collection Location: Piste de Kaw, French Guiana 36265
|