_Mart_and_Galileo_MIZA_Mesa_de_Paya_Guarico_Venez_LGB.jpg)
Specimen Type: holotype Sex: m Institution: MIZA Museuo del Instituto de Zoología Agrícola, Maracay, Venezuela Photographer: Larry G. Bezark Collection Location: Mesa de Paya, Guarico, Venezuela 34855
|
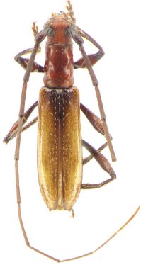
_Mart_and_Galileo_MIZA_Mesa_de_Paya_Guarico_Venez.jpg)
Specimen Type: holotype Sex: m Institution: MIZA Museuo del Instituto de Zoología Agrícola, Maracay, Venezuela Collection Location: Mesa de Paya, Guarico, Venezuela 34854
|