_M_and_G_MNRJ_Sinop_MT_Brazil_LGB.jpg)
Specimen Type: holotype Sex: m Institution: MNRJ Museu Nacional Universidade do Rio Janeiro, Brazil Photographer: Larry G. Bezark Collection Location: Sinop, Mato Grosso, Brazil 34850
|
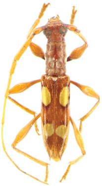
_M_and_G_MNRJ_Sinop_MT_Brazil.jpg)
Specimen Type: holotype Sex: m Institution: MNRJ Museu Nacional Universidade do Rio Janeiro, Brazil Collection Location: Sinop, Mato Grosso, Brazil 34849
|