New Search Family, Subfamily and Tribe List

SubFamily Cerambycinae

Tribe Tropidini Neoibidionina
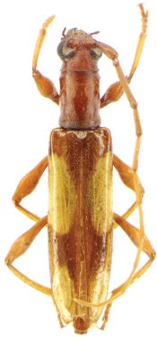
Compsibidion novalimae Martins & Galileo 2012

Specimen Type: holotype
Sex: f
Institution: MZSP Museu de Zoologia da Universidade de São Paulo, Brazil
Collection Location: Nova Lima, Minas Gerias, Brazil
34847

130425