New Search Family, Subfamily and Tribe List

SubFamily Cerambycinae

Tribe Tropidini Neoibidionina
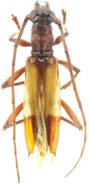
Compsibidion elianae Martins & Galileo 2012

Specimen Type: holotype
Sex: f
Institution: MZSP Museu de Zoologia da Universidade de São Paulo, Brazil
Collection Location: Goiania, Federal University of Goias, Goias, Brazil
34845

130425